Scuba Diving - Tulamben Liberty Shipwreck

Bali is famous for scuba diving. There are many diving spots around here. One of the world famous diving spots in Bali is the wreck of the USAT Liberty. This was our first dive since we were granted the Padi Open Water License.

Check out my post when I took my first scuba dive license at Pulau Redang

Before we came to Tulamben, we checked in at Lovina for dolphin trip on the next day. We took around 1 to 2 hours ride to reach Tulamben.
Liberty Ship Wreck Tulamben
Diving buddies photoshoot before depart to our dive spot.
I kept on asking mr. whether we need to do back roll or not before we heading to the dive spot. I was glad that this dive didn't require me to perform back roll. I guess I have “back roll”-phobia, yay!

Fyi, this shipwreck scuba diving doesn’t require advanced open water license to experience it. You can even go for a fun scuba diving session if you don’t have license at all. Why? It’s because it’s safe to dive around the fully ripped off shipwreck. 

The shipwreck is located at Tulamben’s rock beach. It was torpedoed by Japanese submarine back in 1942. Now it lies beneath the water next to the sand beach of Tulamben.
Liberty Ship Wreck Tulamben
Tulamben’s USAT Liberty Shipwreck scuba dive spot has become the world famous shipwreck dive spot. It has ripped off completely and it’s safe to dive into the ship cabin and move around the shipwreck. 
Liberty Shipwreck Tulamben
Black rock beach
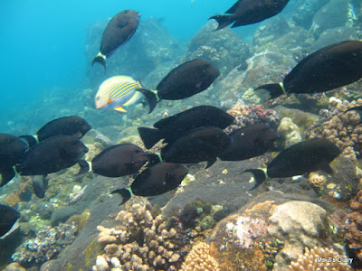
Over the years, the Tulamben’s shipwreck has become part of the natural environment where all the fishes and coral inhabit into it.

We were amazed by the surrounding of USAT liberty shipwreck. We dived from the end of shipwreck to the middle cabin and until the front deck.

You will be amused by the structure and the size of the shipwreck!
You still can find the ship steering wheel at the shipwreck.
We explored the mysterious structure of the ship cabin. It’s way too exciting!
All of them are covered by corals.
Stingray swimming around the shipwreck
After that, we were guided by Dive Master to the surrounding dive spots. We saw the sea eel garden.
Finally, we finished our adventure book’s exploration - The conquering of Tulamben’s USAT Liberty Shipwreck in Bali! Can’t wait for our next diving adventure!

Comments

Popular Posts